L'univers UNICEF France

My Unicef logo

Trouvez des informations,
des activités ludiques et éducatives, des ressources pédagogiques ou comment créer un projet solidaire

Découvrir
Ville amie logo

297 villes et intercommunalités ont intégré le réseau Ville amie des enfants pour le mandat 2020/2026. Rejoignez le grand réseau Ville amie des enfants

Découvrir

Le programme École amie
des droits de l’enfant vise à faire de l’école un lieu plus juste, plus inclusif et plus participatif

Découvrir

Notre boutique en ligne solidaire se refait une beauté. Nous vous informerons de la date de reprise dès que possible.

Découvrir
Photo prise à Mannheim, en Allemagne, le 08/06/2024 au Festival de la Jeunesse. © UNICEF/UNI595827/Stroisch

L'Observatoire des droits de l'enfant

En savoir plus
haïti IDP déplacements camps violences armées enfants
© UNICEF/UNI601254/Le Lijour

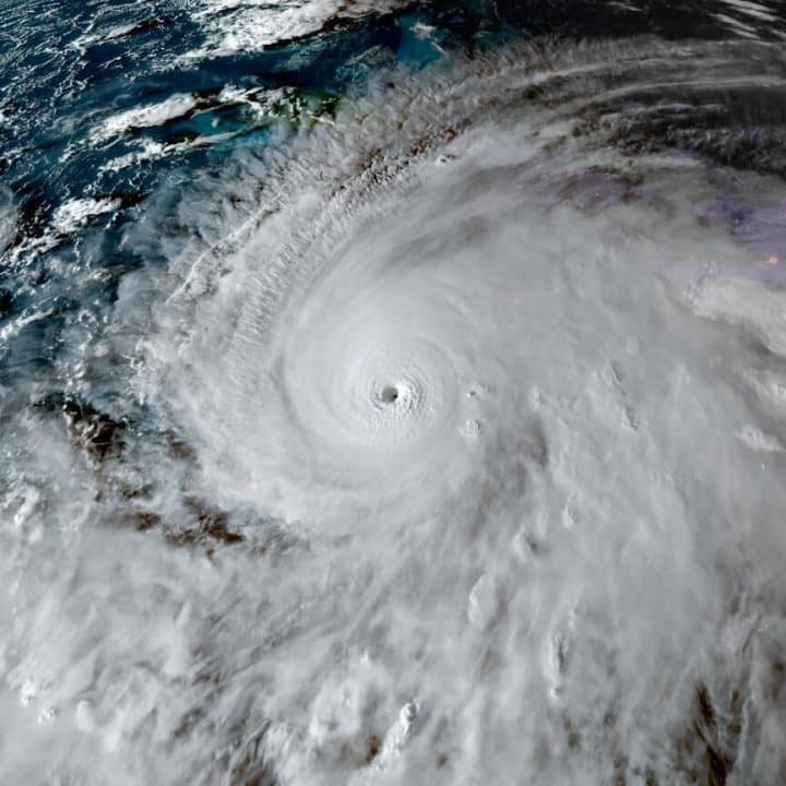
Ouragan Mélissa : 1,6 million d’enfants en danger dans les Caraïbes

Panama City le 26 octobre 2025 – Alors que l’ouragan Melissa progresse lentement dans la mer des Caraïbes, les vents, les pluies torrentielles et les crues soudaines ont mis en danger au moins 1,6 million d’enfants, selon les estimations de l’UNICEF.

Les pays des Caraïbes, notamment la Jamaïque, Haïti, Cuba et la République dominicaine, devraient subir plusieurs jours de conditions météorologiques extrêmes qui risquent de perturber les services essentiels, en particulier dans les zones côtières vulnérables.

« Tous les efforts déployés pour se préparer à l’arrivée de l’ouragan sont essentiels pour atténuer les dégâts et les pertes en vies humaines dans les communautés les plus vulnérables, en particulier dans des régions telles que les Caraïbes. Les petites îles sont toujours plus exposées aux phénomènes climatiques extrêmes », a déclaré Roberto Benes, directeur régional de l’UNICEF pour l’Amérique latine et les Caraïbes. « L’UNICEF contribue à renforcer les capacités locales à anticiper et à répondre aux urgences climatiques, ainsi qu’à fournir des services essentiels aux enfants. Cela est fondamental pour protéger ceux qui en ont le plus besoin. »

Image satellite fournie par la banque d'image CIRA de l'ouragan Mélissa dans la mer des Caraïbes le 27 octobre 2025. © UNICEF/UN0860203/CIRA

Soutenir nos actions d’urgence

Votre don sera utilisé pour répondre aux situations d’urgence sur lesquelles les équipes UNICEF sont mobilisées, en fonction des besoins.
Faire un don

Au cours de la dernière décennie, environ 11 millions de personnes, dont près de 4 millions d’enfants, ont été directement touchées chaque année par des catastrophes naturelles et causées par l’homme en Amérique latine et dans les Caraïbes.

Alors que les phénomènes météorologiques extrêmes mettent en danger la vie des enfants et des familles dans toute la région, l’UNICEF, en coordination avec les autorités nationales et les partenaires de chaque pays, soutient les efforts de préparation aux situations d’urgence, notamment en prévoyant des fournitures essentielles telles que du matériel d’hygiène, des purificateurs d’eau et des conteneurs de fournitures médicales, en diffusant des messages d’alerte précoce aux communautés et en distribuant de l’argent aux ménages à risque dans le sud d’Haïti afin d’atténuer l’impact de l’ouragan.

En 2025, l’UNICEF a demandé 19 millions de dollars pour se préparer aux situations d’urgence en Amérique latine et dans les Caraïbes et renforcer la préparation aux catastrophes pour les programmes d’intervention d’urgence dans toute la région.

Image satellite fournie par la banque d'image CIRA de l'ouragan Mélissa dans la mer des Caraïbes le 27 octobre 2025. © UNICEF/UN0860203/CIRA

Soutenir nos actions d’urgence

Le Fonds d’urgence permet de disposer rapidement des moyens d’action pour réagir face aux catastrophes, et ainsi préserver le plus de vies possibles.
Faire un don